Missouri Geological Survey
Display Map Information
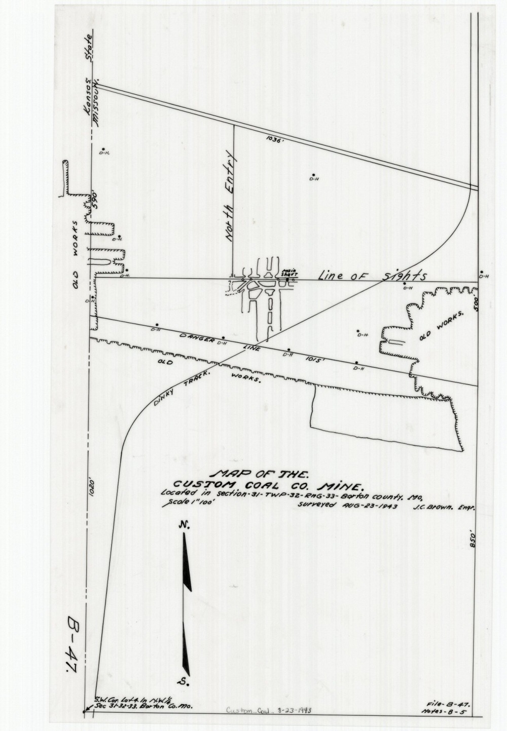
County: Barton
Map Number: 01124
Mine Name: Custom Coal Co. Mine
Map Title: Map of the Custom Coal Co. Mine
Map Image: MAP IMAGE
Scale: 1" = 100'
Township: 32N
Range: 33W
Section: 31
Commodity: Coal
Company Name: Custom Coal Co.
Author: J.C. Brown
Date: 1943
Purchase: High-resolution electronic and paper maps are available for purchase by calling 573-368-2100
